Punaise nabide ou punaise solitaire: auxiliaire généraliste
Taxonomie
Nom commun : Punaise nabide ou punaise solitaire
Ordre : Hemiptères
Famille : Nabidae
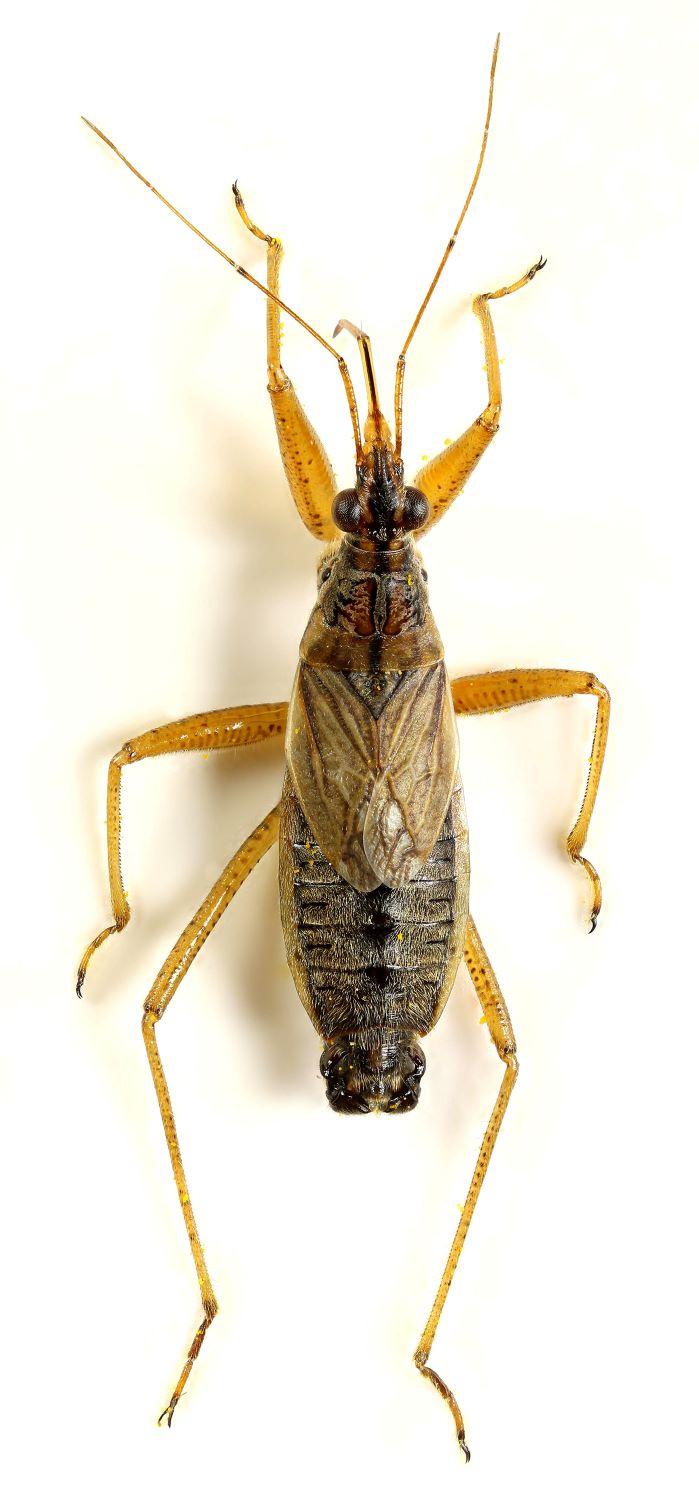
Genre : Himacerus (voir photo entête et nymphe) et Nabis (voir photo 3)
Espèce : sp
- Régime alimentaire : Prédateurs généralistes consommant pucerons, thrips, acariens, œufs et larves de lépidoptères, cicadelles
- Cycle biologique : 2-3 générations par an selon les espèces, hivernation à l'état adulte dans la litière végétale
- Période d'activité : Observables d'avril à octobre, pic d'activité juin-août (climat belge)Prédateur envers : Pucerons, jeunes chenilles
Comment reconnaître la punaise solitaire
Adulte : corps est de forme aplatie. Ailes repliées à plat au repos à la différence des Midride et Anthocoride, ne possèdent pas d’yeux secondaires. Elle est de grande taille (environ 2 cm) et la couleur est variable selon l’espèce, en général plutôt gris ou marron. Ces punaises volent très peu. (voir image d'entête: femelle adulte d'Himacerus apterus)
La larve ressemble à l’adulte et sont très agiles et rapides.
Cycle de développement
Une génération par an.
Hibernation sous forme adulte, dans une cachette protégée.
Les œufs sont pondus et insérés dans l’écorce nouvelle et tendre. Ils sont de forme oblongue et une petite partie avec un couvercle reste visible en surface (observable à l’aide d’une loupe).
Les larves et adultes sont prédateurs de pucerons de toutes espèces et de chenilles de jeune stade.
Intérêt agronomique
Efficacité prédatrice
- Consommation quotidienne : 15-30 pucerons par individu adulte
- Régulation naturelle des populations de ravageurs
- Action complémentaire avec d'autres auxiliaires (coccinelles, syrphes)
- Cannibalisme régulateur en cas de pénurie de proies
Cultures concernées
- Cultures maraîchères de plein champ : tomate, courgette, aubergine, poivron, salade, chou
- Cultures sous serre : efficacité moindre mais présence possible
- Cultures aromatiques : particulièrement favorables à leur développement
Utilisation
Les punaises sont présente dans les cultures de façon ponctuelle.
Les nabides sont très répandues mais en général on les trouve en petit nombre, voire seules.
Elles semblent être très sensibles aux produits phytosanitaires, on les retrouve surtout sur des cultures conduites en agriculture biologique.
De part leurs caractères solitaire, les punaises nabide ne sont pas utilisées en protection biologique par augmentation.
Favoriser l'implantation et le développement des punaises nabides en maraîchage biologique
Stratégies de conservation et favorisation
Aménagements paysagers
Création de zones refuges
Elles comprennent les bandes enherbées permanentes avec des graminées en touffes (fétuque élevée, dactyle), les haies champêtres avec accumulation naturelle de feuilles mortes au pied, les tas de compost végétal stabilisés, et les zones de prairie permanente non fauchées.
Les protections hivernales renforcées incluent la création de couvertures végétales denses (mulch de feuilles mortes, résidus de culture laissés sur place), l'installation de fascines de branchages le long des haies pour créer des micro-habitats protégés, et le maintien de bandes non travaillées de 2-3 mètres de large en bordure de parcelles. Pour maximiser l'efficacité, ces aménagements doivent être mis en place dès octobre, avant les premières gelées, avec une attention particulière au drainage pour éviter l'engorgement hivernal typique du climat belge. L'objectif est de créer des micro-climats tampon où la température reste plus stable et où l'humidité excessive est évitée, permettant aux nabides adultes de survivre jusqu'au printemps suivant.
Bandes fleuries et enherbées
- Implantation : Bandes de 3-5 m de large en bordure de parcelles
- Composition végétale :
- Graminées sauvages (fétuques, dactyle)
- Ombellifères (carotte sauvage, fenouil, aneth)
- Légumineuses (trèfle, luzerne, vesce)
- Plantes à floraison étalée (phacélie, sarrasin, moutarde)
- Gestion : Fauche tardive (octobre) et alternée par tronçons
Haies et lisières boisées
- Espèces recommandées : Noisetier, sureau, aubépine, prunellier
- Distance optimale : 20-50 m des cultures pour efficacité maximale
- Gestion : Taille hivernale douce préservant la litière au pied
Pratiques culturales favorables
Gestion du sol
- Travail du sol réduit : Préserver les sites d'hivernation
- Couverture végétale : Maintenir des zones enherbées permanentes
- Mulch organique : Favorise l'hivernation et les proies alternatives
Diversification culturale
- Rotation diversifiée : Alterner cultures attractives pour les nabides
- Solanacées prioritaires : Tomate, aubergine, poivron, pomme de terre (très attractives)
- Légumineuses complémentaires : Haricots verts, petits pois, fèves (attirent les proies)
- Ombellifères cultivées : Fenouil, persil, cerfeuil, carotte (montée à graine)
- Implanter des plantes compagnes fleuries : Tomate + basilic, courgette + capucine, aubergine + œillet d'Inde
- Jachères fleuries : 5-10% de la surface en repos enherbé avec graminées et ombellifères sauvages
Recommandations spécifiques par culture
Cultures de plein champ
- Solanacées : Bandes fleuries intercalaires entre les rangs
- Crucifères : Association avec des ombellifères
- Cucurbitacées : Zones enherbées en bout de parcelle
Cultures sous serre
- Optimisation de l'aération pour faciliter la colonisation naturelle
- Plantes-hôtes en pots disposées stratégiquement
- Réduction des traitements chimiques même autorisés en bio
Points de vigilance
Facteurs limitants
- Pesticides : Même biologiques, peuvent affecter les nabides
- Fauche précoce : Détruit les habitats et les proies
- Monocultures : Réduisent la diversité des proies disponibles
Compatibilité avec d'autres auxiliaires
- Synergie positive avec coccinelles et chrysopes
- Attention aux parasitoïdes : Risque de prédation sur les œufs
- Équilibre écologique : Éviter la surabondance d'un seul type d'auxiliaire
Stratégie optimale : Maintenir 10-15% de la surface en bandes fleuries ou jachères enherbées pour maximiser l'attractivité pour les nabides.
Ces cultures attractives créent un environnement favorable en offrant à la fois des proies abondantes (pucerons spécialisés) et des habitats diversifiés (structure végétale complexe, floraisons étalées).
Cette fiche technique a été élaborée dans le cadre du développement de pratiques agroécologiques pour les exploitations maraîchères en agriculture biologique.